It is pretty common for canines to experience fractures. Dogs experienced small or severe fractures due to many reasons. Some fractures are small cracks in the bones, and some are big. These can lead to further complications if not treated professionally. Fractures and cracks also occur due to weak bones, accidents, or other physical stress on that area. It is essential to understand the fracture types in dogs, their diagnosis, and their effective treatment. The most crucial part is the recovery to get the bones back into the best form and shape for strength and energy.
In this blog, we will talk about the Fractures in Canines and their Types, Symptoms, Diagnosis, Treatment, and Recovery.
What do you mean by fractures in dogs, and what are their common causes?
Fracture mean a crack in a bone or breakage of bone into one or more pieces. These two types of fractures heal in different ways. Some fractures, like small cracks, can heal quickly, and some big fractures of bones need surgery under a professional.
Dogs are very active and are at a greater risk of getting injured. This leads to small and big fractures in them that need to be treated professionally.
The main causes of fractures are as follows
- Road traffic accidents are seen as a major reason for fractures in dogs.
- Other reasons include falling from a height.
- Small dogs can get cracks and fractures due to stepping on them.
- Dogs can get fractures due to playing roughly with other street animals or pet animals.
- Dogs can also get fractures due to bone diseases or any weakness.
- Fractures are also caused by nutritional deficiencies.
- If dongs are abused physically.
- Severe infections can also lead to bone breakage and cracks.
Dogs of all ages are at equal risk of getting fractures due to their daily routine and playful nature.
Understanding the common types of fractures in Canines
The different types of infections present in the dogs are as follows
Simple or closed fractures
These infections are common when the bone is broken, but the skin is not pierced. It can be called an internal breakage of bone without damaging the skin layer. These fractures are very common and have less risk for skin infection due to intact skin layers.
Open fractures
Open fractures are highly sensitive, where the bones can be seen through the skin. The bones have pierced through the skin and have a high chance of getting infected, and require immediate attention and care from a veterinarian.
Complete fracture
Complete fractures are very dangerous, as the bones are broken into two or more pieces. These need special and immediate attention from a professional.
Half or incomplete fracture
These fractures are not full and have cracks. The bone is not completely broken into pieces and has only seen cracks. It is seen in weak bones or nutritional deficiency.
Comminuted Fracture
These fractures come under the category of the most severe and dangerous fractures. The bones are broken into more than 2 pieces. It is highly painful and can be caused by severe accidents.
Greenstick Fracture
A greenstick fracture is another type of fracture seen in dogs that does not completely break the bone but bends it and cracks it.
The most common bones that get fractures or cracks are the thigh bone, called the femur. Tibia and fibula also have a high percentage of fractures. The radius and ulna are the front leg bones that also get damaged. The pelvis bone and jaw are also among the top bones at high risk of getting fractures in dogs. Ribs and tail are at less risk compared to other bones in the body.
Symptoms of fractures in dogs
Some of the symptoms that provide evidence for fractures in dogs are as follows
- The dog’s body is more lame and does not move properly.
- The particular area is not able to hold the weight of the body or be dragged.
- You could see the area had become deformed or out of its regular shape.
- Swelling is a big symptom of a fractured bone
- When bones can be seen through the skin
- When dogs cry or make a loud noise
Other symptoms also indicate bone fractures and vary according to the dog and the fractured area.
What should be done if you have seen a fracture in a dog?
You need to follow certain steps to deal with this situation. Do not panic after seeing the fracture. Keep calm and try to make your dog calm as well. Do not let your dog walk or make any physical movement to avoid getting more injured and complicate the existing fracture. Do not try to fix the issue on your own, as it can cause more damage and harm. You can do your part by cleaning the blood with a neat and clean soft towel. Contact the veterinary facility for immediate attention. Properly monitor the condition of your pet until the vet arrives.
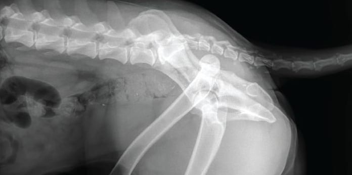
Understanding how fractures are diagnosed by the doctors
Fractures can be diagnosed in two different ways. The first thing is to see with the eyes. Vets have the experience and can tell which bone is fractured by looking. If the fracture is incomplete and the bone is not seen, imaging technology and radiology are used to take X-rays of the injured area. The CT scans will tell the right bone and fracture type in the dogs to provide the relevant treatment.
How are fractures treated in dogs?
Dog fractures are mainly treated by non-surgical and surgical procedures by an expert.
Non-surgical procedures
Non-surgical procedures do not require the use of tools to pierce through the bone and fix the issue. It can be done easily with the casts or splints. It is monitored regularly with X-rays to avoid any issues.
Surgical procedures
Surgical procedures involve the use of tools to fix the bones with the help of plates or screws. Other medical equipment is used to give proper alignment to the bones. This helps in the proper functioning and healing of the fracture.
Open fractures need proper healing and immediate attention. It needs medicines along with the surgical procedures. It also requires proper care for the dog after the surgery.
How is pain managed during and after the procedure is done during the care period?
It is highly painful for the dogs to undergo the procedure and deal with pain after the surgery is done. They are given medicines and therapy to reduce the pain and provide relief. They are given medications that reduce the inflammation and also relieve the pain.
How much will it take for your dog to heal and recover from the fracture?
Healing time and recovery depend on the type and severity of the fracture. Other factors like age, overall health, and treatment procedure can affect the healing journey. Small dogs or puppies can see a major healing and recovery in 4-8 weeks, and dog breeds that are adults can see it in 6-14 weeks. A much longer time is also seen in the recovery of big and complicated fractures.
Understanding the rehabilitation period in dogs
Proper care is needed in the rehabilitation period. Your dog should limit walking and can use leash walking with proper control. They must do the exercises that improve the blood flow and provide strength to the bones. It will make the affected area more relaxed and controlled.
You need to provide the proper rehabilitation to the dogs to prevent the infections to occure or to reduce the recovery time.
Complications can also occur and cause misalignment. It can further cause issues if not managed properly. Infections can also come post-surgery, and implant failures can also happen.
Prognosis is involved in the fractured dogs
It is the outcome of the surgery and the chance of recovery for the dogs. Dogs recover pretty well with proper care and early vet treatment. Age affects the healing speed in dogs, along with the treatment methods used during the surgery. Prognosis also depdns on the type of fracture that occurred to the dog.
Blockqoute
With timely treatment, careful rest, and a little patience, most dogs with fractures can heal well and return to their happy, active lives.
Conclusion
Fractures are very painful and need proper diagnosis and treatment. It is hard on the dogs and owners as well. The dog is an important part of the family and must be treated with full care and affection. Getting your pet diagnosed and treated in a reliable and professional veterinary center is crucial for recovery and proper treatment of the fracture.
All Creatures Veterinary Center is a trusted and experienced veterinary center for pets and provides the best medical facilities for the pets. Your dog will be in the experienced hands of years of expertise and successful results. Feel free to go to the trusted All Creatures Veterinary Center to get the best treatment for your dogs.
Veterinary Center – All Creatures Veterinary Center
Address – 22722 Lyons Ave #5, Newhall, CA 91321
Phone – (661) 291 – 1124
Frequently asked questions
Which is the best veterinary center for canine fractures in California?
All Creatures Veterinary Center is a trusted and experienced center for canine fractures and veterinary care.
How can one avoid fractures in dogs?
Always keep an eye on the dog’s whole driving or provide a proper leash to your pets on roads. Must install the safety to protect your pet and provide sufficient nutrition to make your pet strong. Small dogs must be saved from being stepped on.
When is the right time to seek emergency care for your dog?
If the dog is severely injured and can barely stand or walk. You could see a lot of swelling or bone deformity. This is the right time to call a vet and provide immediate care and first aid to the dog.
How long does it take for the dogs to recover from a fracture?
It will depend on the type of fracture and several other reasons. From getting revoked in 4 weeks to 12 weeks is the minimum time, depending on the type of fracture. Big fractures that are complicated can take months to heal.
Is it always mandatory to get your dog in surgery?
Surgery only happens if it is required. Some are minor fractures that do not need tools and can be healed with medicine or casts.
Does the dog recover fully and get back to normal activity?
Dogs can become the same as before after the operation and proper recovery. The operation and everything need to be aligned properly to function normally after proper rehab and care.















